3,500,201 ر.س.
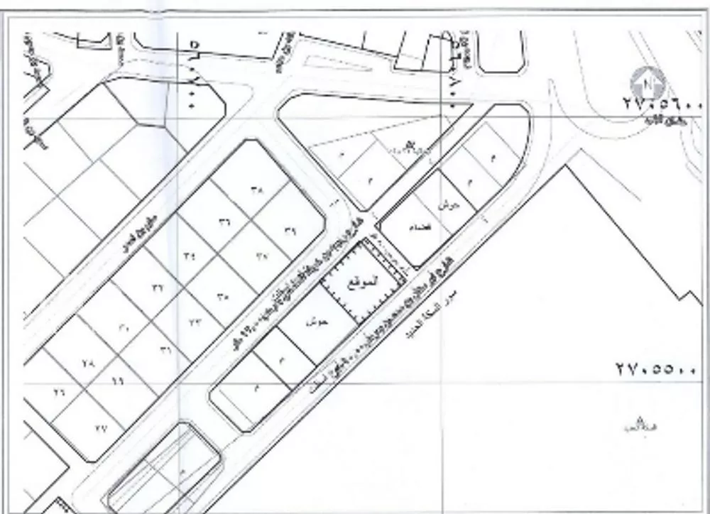
عرض على Aqar(off - 183) للبيع ارض - المدينة المنورة، حي السقيا على 3 واجهات المساحة 548م تفاصيل العقار: شارع شمالي بعرض 12م عرضها على الشارع 24م شارع جنوبي بعرض 10م عرضها على الشارع 24م شارع شرقي بعرض 5م عرضها عل...
احصل على أفضل العروض في السقيا أسبوعياً
سنرسل لك أفضل العقارات كل أسبوع.
السقيا
تصفح المزيد من العقارات المتاحة في السقيا، المدينة المنورة.
عرض جميع العقارات في السقيا3,500,201 ر.س.